土地征收新消息!连拆三地!涉及宁波这些地方!
根据《中华人民共和国土地管理法》等法律规定,因宁波望春工业园区管委会实施望春工业园区中新凯德路(纬二路-前塘河)工程建设项目,拟征收集士港镇横港村农民集体所有土地,现将有关事项告知如下:
集士港镇横港村农民集体所有土地2.0042公顷(具体以勘测定界成果为准)。四至范围见示意图。
宁波市海曙区人民政府将组织集士港镇人民政府开展土地现状调查,对土地权属、地类、面积,以及农村村民住宅(含权属、面积等)、其他地上附着物和青苗的权属、种类、数量等信息进行调查确认,有关单位和个人应予以积极支持配合。
自本公告发布之日起,在拟征收土地范围内暂停办理户口迁入、分户、房屋交易、翻(扩)建、装潢、核发营业执照、调整农业生产结构等不正当增加补偿费用的行为。
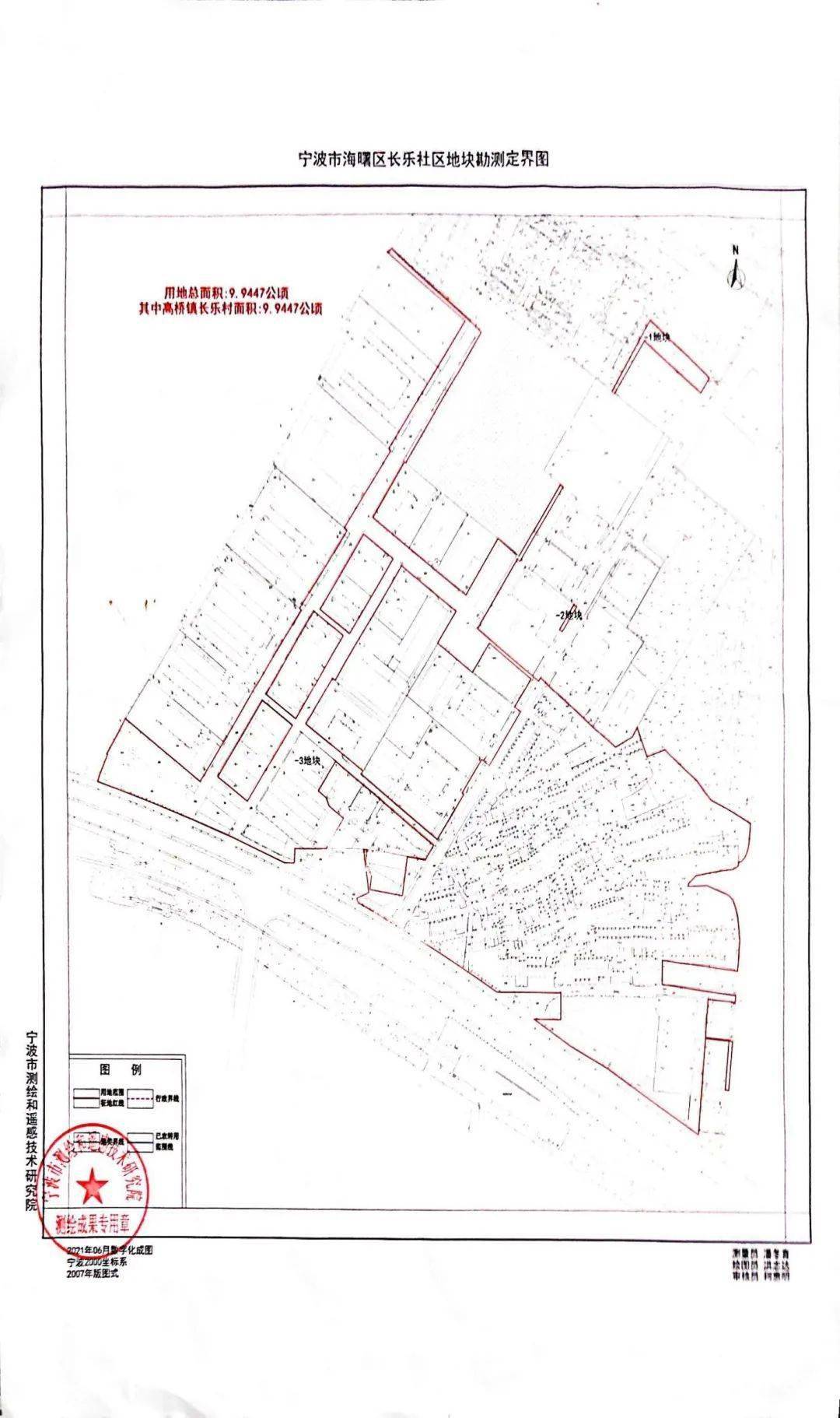
根据《中华人民共和国土地管理法》等法律规定,因海曙区旧村改造管理服务中心实施宁波市海曙区长乐社区地块建设项目,拟征收高桥镇长乐村农民集体所有土地,现将有关事项告知如下:
高桥镇长乐村农民集体所有土地9.9447公顷(具体以勘测定界成果为准)。四至范围见示意图。
宁波市海曙区人民政府将组织高桥镇人民政府开展土地现状调查,对土地权属、地类、面积,以及农村村民住宅(含权属、面积等)、其他地上附着物和青苗的权属、种类、数量等信息进行调查确认,有关单位和个人应予以积极支持配合。
自本公告发布之日起,在拟征收土地范围内暂停办理户口迁入、分户、房屋交易、翻(扩)建、装潢、核发营业执照、调整农业生产结构等不正当增加补偿费用的行为。
根据《中华人民共和国土地管理法》等法律规定,因宁波市海曙区水利建设投资发展有限公司实施宁波市区清水环通一期工程建设项目,拟征收石碶街道石碶村农民集体所有土地,现将有关事项告知如下:
石碶街道石碶村农民集体所有土地0.3242公顷(具体以勘测定界成果为准)。四至范围见示意图。
宁波市海曙区人民政府将组织石碶街道人民政府开展土地现状调查,对土地权属、地类、面积,以及农村村民住宅(含权属、面积等)、其他地上附着物和青苗的权属、种类、数量等信息进行调查确认,有关单位和个人应予以积极支持配合。
自本公告发布之日起,在拟征收土地范围内暂停办理户口迁入、分户、房屋交易、翻(扩)建、装潢、核发营业执照、调整农业生产结构等不正当增加补偿费用的行为。
版权声明:本文由青岛厂房网发布,如需转载请注明出处。部份内容收集于网络,如有不妥之处请联系我们删除 400-0123-021 或 13524678515











